574 Hamilton Road, Fairlie
By Negotiation






+8
Act now and get your dream home under way
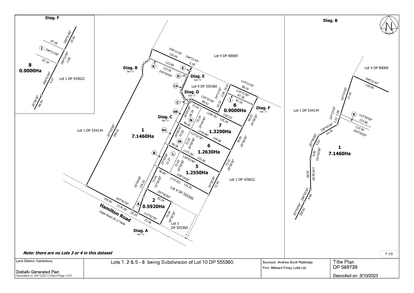
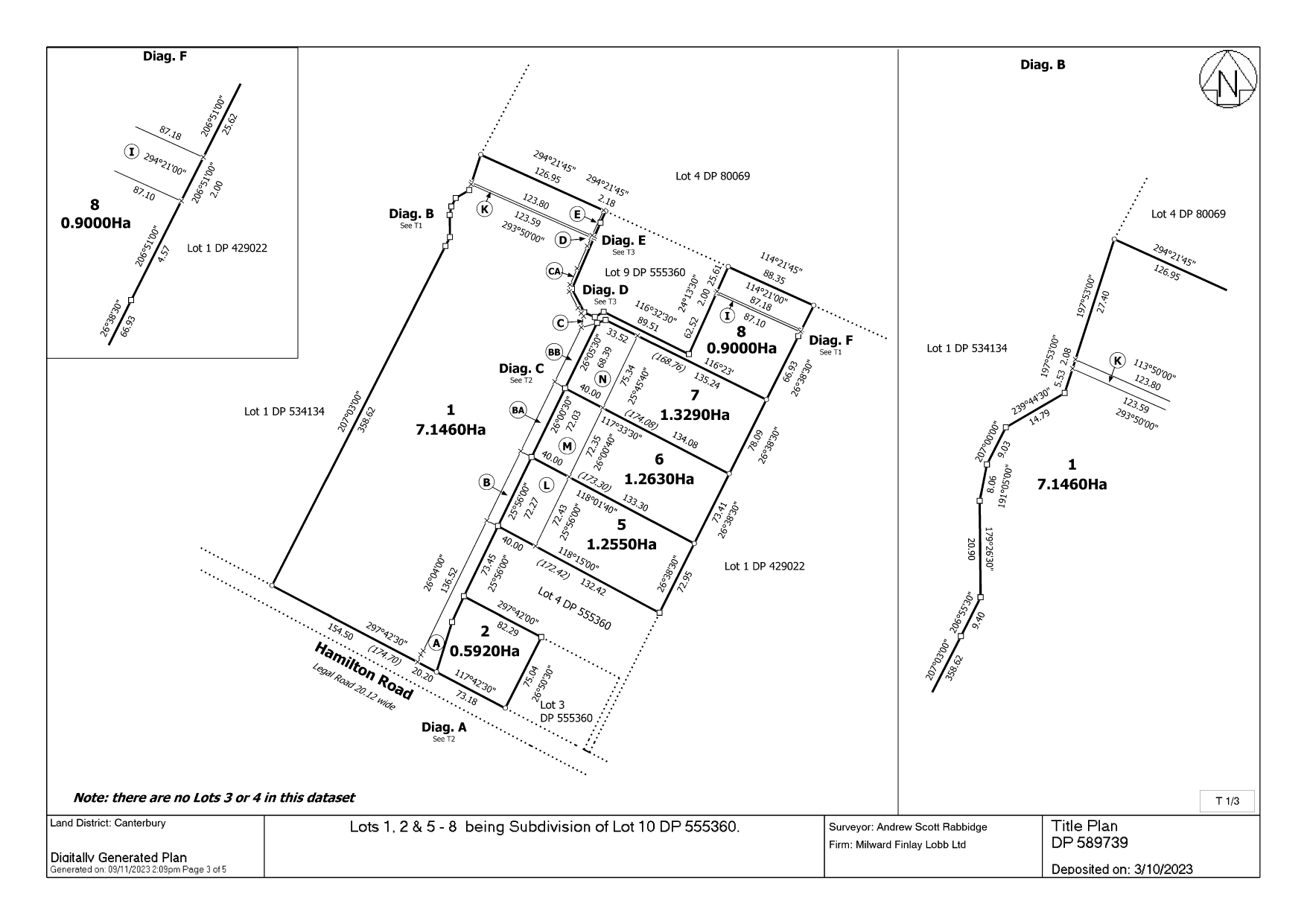
Certificates of Compliance have been obtained for all of these sections! This means you are able to build on them. With sun, views and location these sections on Hamilton Road are perfect for those seeking a lifestyle balance. Lot 5 1.2550ha Lot 6 1.2630ha Lot 7 1.3290ha Lot 8 9,000m2 The building platforms offer various options to build your dream home away from the hustle and bustle of urban life yet still within close proximity to Lake Opuha, Fairlie township and Tekapo a 30-minute drive away. This subdivision has been completed to a high standard with all earthworks completed to bring power to each section boundary. Water is by way of bores that have already been drilled and access is via a 12m wide ROW off Hamilton Road. Fencing and roadworks are all completed.
View by appointment
Contact

